Home
Elba
Italy
Croatia
Egypt
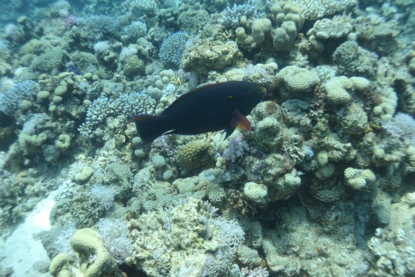
Abu Ghaloum
The Abu Ghaloum dive site at Dahab